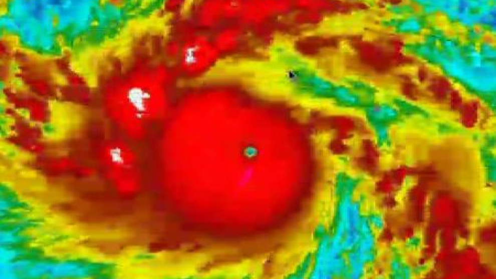
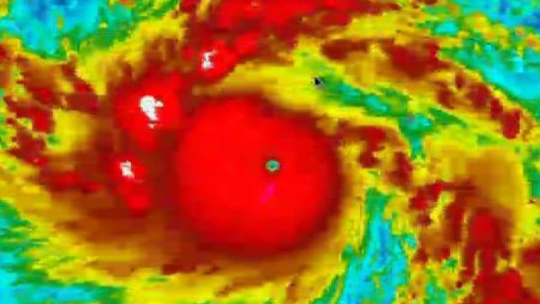
El super tifón Haiyan toca tierra en Filipinas
Es el amenazador ojo del super tifón Haiyan, el más violento en el mundo este año con vientos que superan los 240 kilómetros por hora. Sus efectos van a ser devastadores en Filipinas donde ya ha tocado tierra. Las primeras imagenes que llegan de la provincia de Leyte dan cuenta de la potencia destructora del fenómeno meteorológico que genera olas de casi 6 metros. Recuerdan al tsunami de Indonesia. El gobierno ya ha dicho que se enfrenta a una situación de calamidad extrema para la población porque se calcula de 12 millones filipinos se vean afectados por la trayectoria del monstruo que desde Filipinas se dirige hacia Vietnam y Camboya. De hecho, ha ordenado la evacuación de 125 mil personas en 22 provincias en laderas de montaña y zonas del litoral situadas en la trayectoria del super tifón.