El huracán Melissa disminuye a categoría 4 a su paso por Jamaica
El Centro Nacional de Huracanes de EEUU advierte de que el ciclón sigue siendo muy potente y que llega acompañado de "vientos catastróficos, inundaciones repentinas y marejada ciclónica".

-Actualizado a
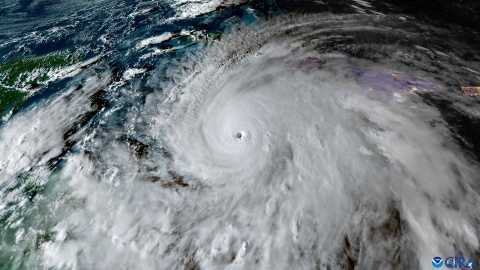
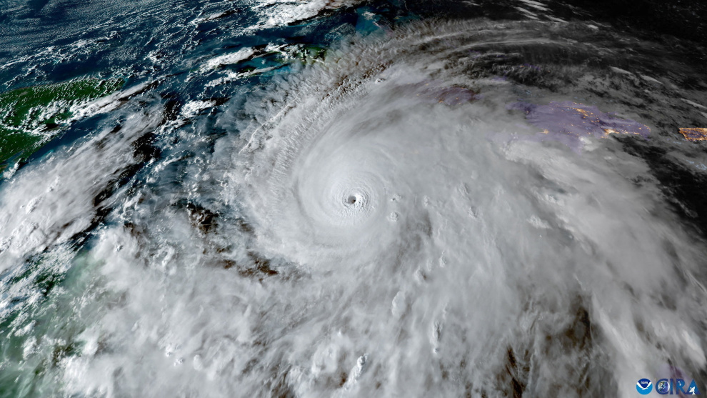
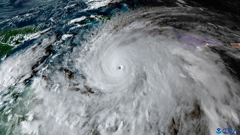
El huracán Melissa ha disminuido a categoría 4 tras tocar tierra en Jamaica, aunque las alertas por fuertes vientos, inundaciones repentinas y marejada ciclónica persisten, según informa el Centro Nacional de Huracanes (NHC, en inglés) de Estados Unidos.
Melissa presenta vientos máximos sostenidos de hasta 240 kilómetros por hora (150 millas/hora), según el último boletín del NHC.
El ciclón, el más fuerte en lo que va de temporada en el Atlántico, ha tocado tierra en Jamaica alrededor del mediodía (17 GMT) con vientos de hasta 295 kilómetros por hora (185 millas/hora), que lo convirtieron en un huracán de categoría 5.
Melissa se encuentra actualmente 15 kilómetros al sur de la Bahía de Montego en Jamaica y se desplaza a unos 13 kilómetros por hora en dirección nornoreste.
Pese a la reducción de su intensidad, el NHC ha advertido en su boletín que Melissa sigue siendo un potente huracán que está acompañado de "vientos catastróficos, inundaciones repentinas y marejada ciclónica", por lo que instó a la población a permanecer refugiadas.
El organismo espera que el huracán continúe debilitándose mientras su centro se encuentre sobre Jamaica, aunque estima que llegará en la mañana de este miércoles al sureste de Cuba como un huracán mayor extremadamente peligroso y que seguirá siendo un huracán cuando atraviese también este miércoles el sureste de Bahamas.
"Es probable que se produzca una falla estructural total cerca de la trayectoria de Melissa, especialmente en las zonas de mayor altitud, donde la velocidad del viento en la cima y en las laderas barlovento de colinas y montañas podría ser hasta un 30% mayor", alertó el NHC.
El NHC mantiene alertas de huracán para toda Jamaica, las provincias orientales de Cuba –Granma, Santiago de Cuba, Guantánamo y Holguín–, así como para las Bahamas centrales y del sureste. Haití, Las Tunas (Cuba) y las islas Turcos y Caicos permanecen bajo aviso de tormenta tropical.
Al menos nueve personas han muerto hasta el momento a causa de los vientos y lluvias asociados a Melissa, tres de ellos en Jamaica, otros tres en Haití, dos en Panamá y uno en República Dominicana.
Aunque se trata del tercer huracán de categoría 5 de la temporada en el Atlántico, después de Erin y Humberto, Melissa es el primero que toca tierra.

Comentarios de nuestros socias/os
¿Quieres comentar?Para ver los comentarios de nuestros socias y socios, primero tienes que iniciar sesión o registrarte.