• Hoy interesa
  • Zapatero imputado
  • PP moción de censura
  • Jorge Riechmann
  • 'Pinkwashing' del cáncer de mama
  • Juan Carlos Escotet
  • Izquierda alternativa

Logo de Público Logo de Público

  • Inicia sesión
  • Mi cuenta
Público

Inicia sesión Mi cuenta
  • Tamaño
    de letra
  • Color
    de fondo
    • Inicia sesión
    • Mis datos
    • Cambiar contraseña
    • Newsletters
    • Mis comentarios
    • Revistas trimestrales
    • La comunidad de Público
    • Ayuda
    • Cerrar sesión
    • Política
    • Opinión
    • Tremending
    • Internacional
    • Sociedad
    • Feminismos
    • Medio Ambiente
    • Memoria Pública
    • Culturas
    • Ciencias
    • Economía
    • Deportes
    • La buena vida
    • UwU
    • Psicología y Mente
    • Ahorro inteligente
    • En ruta
    • Yo animal
    • Públic
    • Vídeos
    • Viñetas
    • Especiales
    • El Diario Cantabria
    • Periódico CLM
    • El Asombrario
    • Sal y roca
    • Librújula
    • Nortes
    • Nueva Tribuna
    • Luzes
    • Página 12
    • Carretera y Manta
    • Espacio Público
  • Google Play
  • App Store

Síguenos

  • Política
  • Opinión
  • Tremending
  • Internacional
  • Feminismos
  • Medio Ambiente
  • Memoria
  • Culturas
  • Ciencias
  • Economía
  • Públic

Centroamérica

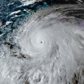
  • Internacional - 30/10/2025

    El huracán Melissa causa al menos 32 muertos y deja un rastro de destrucción a su paso por el Caribe

    EFE

    Un residente retira escombros de las inmediaciones de su casa tras el paso del huracán Melissa, en Santiago de Cuba, el 29 de octubre de 2025. REUTERS/Norlys Perez
  • Internacional - 28/10/2025

    El huracán Melissa disminuye a categoría 4 a su paso por Jamaica

    Agencias

    2025-10-28T140828Z_1095430042_RC2SKHAPM76G_RTRMADP_3_STORM-MELISSA
  • Tribunas - 12/03/2024

    Nicaragua: Anatomía del terror contra el olvido

    Por Octavio Enríquez

     El presidente de Nicaragua, Daniel Ortega, asiste a la ceremonia de apertura de la cumbre del G77+China en La Habana, Cuba, el 15 de septiembre de 2023. REUTERS/Alexandre Meneghini
  • Internacional - 04/04/2022

    Rodrigo Chaves, elegido nuevo presidente de Costa Rica pese a su escándalo por acoso sexual

    Público

    4/4/22-El candidato presidencial costarricense Rodrigo Chaves, del partido Progreso Socialdemócrata, habla en la sede de su campaña después del cierre de las urnas en San José, Costa Rica, el 3 de abril de 2022.
  • Internacional - 08/12/2021

    La crisis del café en Centroamérica impulsa una migración récord hacia EEUU

    Gustavo Palencia (Reuters)

    María Bonilla, mujer productora de café en Honduras. Sus cuatro hijos que han migrado a EEUU.
    Publicidad
  • Culturas - 18/11/2021

    Arte 'ecológico' centroamericano contra el permanente colonialismo

    Vídeo: Tania Ortega y Jaime García-Morato

    `El pasado adelante'  exposición de arte contemporáneo en Casa de América
  • Columnas - 02/07/2021

    El peligroso efecto Bukele

    Por César G. Calero

     El presidente de El Salvador Nayib Bukele en una foto tomada el pasado 1 de junio.- AFP
  • Photonews - 18/11/2020

    Las imágenes que deja el huracán Iota tras su paso por Centroamérica

    Público

  • Internacional - 16/11/2020

    Iota, el primer huracán de 2020 en alcanzar la categoría 5, se acerca a Centroamérica

    Público / Agencias

    Fotografía satelital cedida por la Oficina Nacional de Administración Oceánica y Atmosférica (NOAA) por vía del Centro Nacional de Huracanes (NHC) donde se muestra la localización del huracán Iota a las 10:00 hora local (15:00 GMT).
  • Política - 26/05/2020

    Costa Rica legaliza el matrimonio gay... y ya van 30 países

    Público

    Costa Rica legaliza el matrimonio gay... y ya van 30 países
    Publicidad
  • Internacional - 21/01/2020

    Las madres no abandonan la caravana de migrantes a EEUU pese al peligro

    EFE

    Migrantes de la caravana que viaja a Estados Unidos cruzando a la orilla guatemalteca del río en Ciudad Hidalgo, México. / Reuters
  • Internacional - 12/08/2019

    El conservador Giammattei logra la Presidencia de Guatemala al cuarto intento

    Público

    El candidato a la presidencia de Guatemala Alejandro Giammattei (c), habla junto al candidato a vicepresidente Guillemo Astillo (d) durante la celebración de su victoria virtual contra Sandra Torres de la UNE, en las elecciones este domingo
  • Internacional - 26/06/2019

    La aterradora realidad del colectivo LGBTI en Centroamérica

    María M. Mur (EFE)

    23/6/2019- Miles de personas participan durante una marcha por los derechos del colectivo LGBTI este domingo en San José (Costa Rica). EFE/Jeffrey Arguedas
  • Internacional - 31/05/2019

    Licencias de conducir, ¿derecho o necesidad para indocumentados en EEUU?

    Público

    El potente viento del huracán Harvey derriba una señal de tráfico en Texas.REUTERS/Adrees Latif
  • Internacional - 29/03/2019

    Trump promete cerrar la frontera con México si no detienen "inmediatamente" el flujo de migrantes

    Europa Press

    Donald Trump, en marzo del año pasado, durante su visita a la frontera entre California y México. /REUTERS
    Publicidad
  • Internacional - 26/03/2019

    La exfiscal, la eterna candidata y la hija del dictador: tres mujeres para presidir Guatemala

    Alberto Pradilla

    De izquierda a derecha, las candidatas a la Presidencia de Guatemala, Sandra Torres, de la Unidad Nacional de la Esperanza (UNE); Thelma Aldana, del Movimiento Semilla; y Zury Ríos, cabeza de lista del partido Valor. REUTERS
  • Economía - 21/02/2019

    Telefónica vende sus filiales en Panamá, Costa Rica y Nicaragua por 1.455 millones

    Europa Press

    El logo de Telefónica en su sede en el distrito madrileño de Las Tablas, al norte de la ciudad. REUTERS/Juan Medina
  • Economía - 25/01/2019

    Telefónica negocia la venta de activos en Centroamérica

    Europa Press

    El logo de Telefónica en su sede en la zona norte de Madrid. REUTERS/Juan Medina
  • Columnas - 10/12/2018

    La lucha para “llegar hasta allá” con la que miles de hondureños desafían a Trump

    Por Álvaro Bravo

     Migrantes centroamericanos encuentran refugio en el sur de México. Foto: Peter Haden / CC BY 2.0
  • Sociedad - 08/12/2018

    El pacto migratorio, marcado por el Aquarius y la caravana centroamericana

    EFE

    Migrantes de la caravana que viaja hacia EEUU pasan por un punto de revisión de orden migratorio. REUTERS/Carlos Garcia Rawlins
    Publicidad
  • Columnas - 06/11/2018

    Noam Chosmky y la caravana migrante

    Por Diana Moreno

     'Chosmky y la caravana migrante'. Viñeta de Diana Moreno.
  • Columnas - 02/11/2018

    Cruzar la frontera: la caravana migrante de centroamericanos y los medios

    Por Cecilia Estrada Villaseñor y Alberto Ares Sj

     Programa informativo de NTN24. Foto: captura de YouTube.
  • Internacional - 12/08/2018

    Las acusaciones de corrupción vuelven a señalar al presidente de Guatemala

    Alberto Pradilla

    Jimmy Morales, el presidente de Guatemala, en una foto de archivo | EFE
  • Internacional - 06/08/2018

    "O te marchas o te hacemos picadillo": de qué huyen los centroamericanos a los que Trump rechaza

    Alberto Pradilla

    "O te marchas o te hacemos picadillo": de qué huyen los centroamericanos a los que Trump rechaza
  • Sociedad - 20/06/2018

    Víctimas de las maras en Centroamérica: una guerra para la que no hay refugio

    Público

    La policía de Guatemala detiene a varios miembros de la mara Salvatrucha. REUTERS / JOSE CABEZAS
    Publicidad
  • Internacional - 27/11/2017

    México da la espalda a los refugiados LGBTI que huyen de Centroamérica

    Público

    México da la espalda a los refugiados LGBTI que huyen de Centroamérica. CORTESIA/END
Publicidad

Lo más leído

  • 1.

    Los Gobiernos de Ayuso y Moreno Bonilla fueron "clientes" de la trama societaria de Julio Martínez a la que pagaron al menos 192.000 euros

  • 2.

    'Barrio Esperanza' o cómo arrinconar en la parrilla televisiva una de las series más sólidas y mejor valoradas

  • 3.

    Los Gobiernos de Ayuso y Moreno son los únicos que figuran entre los "principales clientes" de la trama societaria de Julio Martínez

  • 4.

    Opinión

    Federico, la has vuelto a liar

    PorSilvia Cosio

  • 5.

    El mensaje de un catedrático a Marcos Llorente y a Pablo Motos por las milongas sobre la crema solar: "¿Cómo vais a llevar en la mochila esas muertes?"

Publicidad
Público

DISPLAY CONNECTORS, SL.

  • Gestionar mi cuenta
  • Newsletters
  • Aportación puntual
  • Regala Público
  • La comunidad de Público
  • Ayuda

Síguenos

  • Política
  • Opinión
  • Internacional
  • Sociedad
  • Feminismos
  • Medio Ambiente
  • Memoria Pública
  • Culturas
  • Ciencias
  • Economía
  • Públic
  • Vídeos
  • Viñetas
  • Últimas noticias
  • Tremending
  • La buena vida
  • Uwu
  • Psicología y Mente
  • Ahorro inteligente
  • En ruta
  • Yo animal
  • Carretera y manta
  • Lawfare
  • Otro modelo de vivienda
  • Contra el rearme
  • Autoritarismo y reacción
  • Todos los especiales
  • Espacio Público
  • El Diario Cantabria
  • Periódico CLM
  • Nortes
  • Nueva Tribuna
  • El Asombrario
  • Librújula
  • Luzes
  • Página 12
  • Aviso legal
  • Política de cookies
  • Política de privacidad
  • Quiénes somos
  • Transparencia
  • Nuestro periodismo
  • -Banderas editoriales
  • -Feminismos
  • -Uso de la IA
  • Contacto
  • Google Play
  • App Store